Visi miestai
Visi miestai
Parduoda
└ Parduoda └ Sklypai, miškai └ Nekilnojamasis turtas └ Visi skelbimai Transportas Nekilnojamasis turtas Statyba, remontas Viskas namams Telefonai Darbas, mokslas Technika Laisvalaikis Drabužiai Kompiuterija Verslas Viskas nemokamai Prekės vaikams
Ukmergės r. sav.| Lyduokiai
5 000 €
92.31 a| Namų valda, Žemės ūkio, Kita| Be pastatų
+370 64395072
Pažymėti

PARDUODAMAS SKLYPAS LYDUOKIŲ MIESTELYJE

Siūlyti kainą5 000 €
54.17 €/a
Aprašymas
PRIE TVENKINIO PAKRANTĖS PARDUODAMAS SKLYPAS LYDUOKIŲ MIESTELYJE

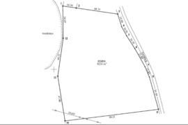
Ukmergės rajone, Lyduokių miestelyje, Gerulių gatvėje, parduodamas 92,31 aro sklypas. Yra galimybė įsigyti visą sklypą arba dalimis po (ketvirtadalį).

Kaina:

Perkant A dalį sklypo 20 arų kaina 6500 eur
Perkant B dalį sklypo 21 aro kaina 6500 eur
Perkant C dalį sklypo 25 arus kaina 5200 eur
Perkant D Dalį 26 arus sklypą kaina 5000 eur

Perkant visą 92,31 aro sklypą – 19 200 € (kaina jau su pritaikyta nuolaida)

Paskirtis: Šiuo metu žemės ūkio paskirties, tačiau pagal Ukmergės rajono savivaldybės bendrąjį planą patenka į namų valdos plėtros teritoriją.

Vieta: Sklypas ribojasi su Lyduokių miestelio tvenkiniu, todėl atsiveria gražūs gamtos vaizdai.

Komunikacijos:

Elektra – šalia sklypo yra elektros dėžė.

Vanduo – miestelio vandentiekis įvestas į sklypą.

Nuotekos – reikėtų įsirengti vietinę sistemą arba prisijungti prie tinklų, esančių už 120–130 m.

Unikalus daikto numeris: 4400-0904-0857

Papildoma informacija:
Atlikti kadastriniai matavimai. Tai puiki vieta įsirengti sodybą ar padalinti sklypą į mažesnius namų valdos sklypus.

LYDUOKIŲ MIESTELIO ISTORIJA
Lyduokiai – vienas seniausių Ukmergės rajono miestelių, pirmą kartą istoriniuose šaltiniuose paminėtas dar XVII amžiuje. Ilgą laiką priklausęs didikų giminėms, miestelis buvo svarbi Lietuvos Didžiosios Kunigaikštystės dalis.

Svarbiausias architektūrinis paminklas – Šv. Arkangelo Mykolo bažnyčia, pastatyta 1856 m. Ji garsėja unikalia medine architektūra ir yra viena iš nedaugelio tokio tipo bažnyčių Lietuvoje.

Miestelį supa vaizdingi laukai, miškai ir tvenkiniai, todėl ši vieta nuo seno traukia tiek vietinius gyventojus, tiek keliautojus. Lyduokių dvaro sodyba, nors ir laiko paženklinta, vis dar mena praeities didybę.

Šiandien Lyduokiai – ramus ir jaukus miestelis, kuriame dera istorinė praeitis ir natūralios gamtos grožis.

Daugiau informacijos telefonu: +370 643 95072 (Parduoda savininkai)
Rodyti daugiau
Papildoma informacija
Kaina
5 000 €
1 aro kaina
54.17 €
Adresas
Ukmergės r. sav., Lyduokiai
Paskirtis
Kita, Namų valda, Žemės ūkio
Sklypo plotas
92.31 a
Pastatai
Be pastatų
Ypatybės
Elektra, Vanduo, Geodeziniai matavimai, Su pakrante
Būsto paskolos skaičiuoklė
Nekilnojamojo turto kaina
Pradinis įnašas
%
15% 100%
Paskolos laikotarpis
metų
1 metai 30 metų
Banko marža
%
Euribor
%
Apytikslė įmoka
0 € / mėn.
Rodomas rezultatas yra informacinis ir remiasi apytikriais skaičiavimais. Įkeistas turtas turi būti apdraustas. Notarų mokesčiai, turto vertinimo ir draudimo išlaidos bankui nėra žinomi, todėl nėra įskaičiuojami į bendros paskolos kainos metinę normą palūkanų normą.
Vieta žemėlapyje
Įdėtas: Redaguotas: Parodė / Perskaitė: 5524 / 409 Skelbimo ID: 67545865
Užsiregistravo: 2012-03-16
0