Visi miestai
Visi miestai
Parduoda
└ Parduoda └ Sklypai, miškai └ Nekilnojamasis turtas └ Visi skelbimai Transportas Nekilnojamasis turtas Statyba, remontas Viskas namams Telefonai Darbas, mokslas Technika Laisvalaikis Drabužiai Kompiuterija Verslas Viskas nemokamai Prekės vaikams
Vilniaus r. sav.| Sudervė| A. Mickevičiaus g.
30 000 €
49.00 a| Žemės ūkio
+370 67373702
Pažymėti

Žemės ūkio sklypas Sudervės seniūnijoje

Siūlyti kainą30 000 €
612 €/a
Aprašymas
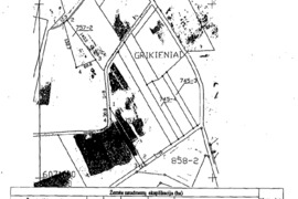
Parduodamas 0,49 ha žemės ūkio paskirties sklypas patogioje vietoje – šalia Kunigo Adolfo Trusevičiaus g., netoli Adomo Mickevičiaus g. asfaltuoto kelio.
Privalumai:
Sklypas lygus;
Patogus privažiavimas – netoliese asfaltuotas kelias;
Netoliese eina elektros linija;
Rami vieta, tinkanti ūkininkavimui ar poilsiui;
Strategiškai patogi vieta – arti miesto ribų.
Rodyti daugiau
Papildoma informacija
Kaina
30 000 €
1 aro kaina
612.24 €
Adresas
Vilniaus r. sav., Sudervė, A. Mickevičiaus g.
Paskirtis
Žemės ūkio
Sklypo plotas
49.00 a
Būsto paskolos skaičiuoklė
Nekilnojamojo turto kaina
Pradinis įnašas
%
15% 100%
Paskolos laikotarpis
metų
1 metai 30 metų
Banko marža
%
Euribor
%
Apytikslė įmoka
0 € / mėn.
Rodomas rezultatas yra informacinis ir remiasi apytikriais skaičiavimais. Įkeistas turtas turi būti apdraustas. Notarų mokesčiai, turto vertinimo ir draudimo išlaidos bankui nėra žinomi, todėl nėra įskaičiuojami į bendros paskolos kainos metinę normą palūkanų normą.
Vieta žemėlapyje
Įdėtas: Redaguotas: Parodė / Perskaitė: 11471 / 71 Skelbimo ID: 68337795
Užsiregistravo: 2015-04-05
Vartotojo reitingas: Bronzinis
0